तेजी के साथ खतरनाक हो रहा है अम्फान, तूफान से बंगाल और ओडिशा में भारी नुकसान की आशंका
मौसम विभाग ने बताया है कि सुपर साइक्लोन अम्फान भारी बारिश से लेकर बेहद भारी बारिश का कारण बनेगा और 165 से 195 किमी प्रति घंटा की रफ्तार से हवा चलेगी, जो पेड़ों के साथ संचार और बिजली के खंभों को उखाड़ सकती है। घरों और फसलों को भारी नुकसान की संभावना है।

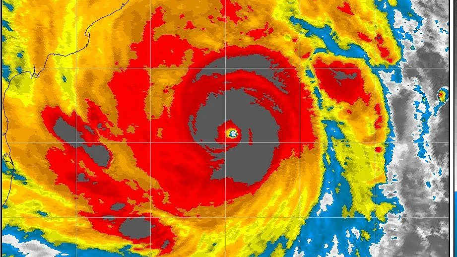
भारतीय मौसम विभाग (आईएमडी) के महानिदेशक मृत्युंजय महापात्रा ने सोमवार को बताया कि बंगाल की खाड़ी में बने ताकतवर चक्रवाती तूफान अम्फान से पश्चिम बंगाल और ओडिशा के तटीय जिलों में व्यापक नुकसान हो सकता है। महापात्रा ने कहा, अम्फान ओडिशा में 1999 में आए तूफान के बाद दूसरा सुपर साइक्लोन (चक्रवाती तूफान) है। वह ऐतिहासिक रूप से सबसे तीव्र चक्रवाती तूफान था। 1999 के सुपर साइक्लोन ने 9,000 से अधिक लोगों की जान ले ली थी।
महापात्रा ने कहा कि 700 किलोमीटर तक फैले और लगभग 15 किमी ऊंचाई वाला चक्रवात अम्फान अपने केंद्र में 220 से 230 किमी प्रति घंटे की गति से घूम रहा है। यह पिछले छह घंटों के दौरान सात किमी प्रति घंटा की रफ्तार से उत्तर की ओर बढ़ रहा है और यह ओडिशा के पारादीप से 730 किमी दक्षिण में, पश्चिम बंगाल के दीघा से 890 किमी दक्षिण-पश्चिम और बांग्लादेश के खेपुरा से 1,010 किमी दक्षिण-पश्चिम में केंद्रित है।
सुपर साइक्लोन के 20 मई को सुंदरबन के करीब दीघा द्वीप और बांग्लादेश के हटिया द्वीप के बीच टकराने की आशंका है। मौसम विभाग ने तटीय पश्चिम बंगाल और ओडिशा के लिए ऑरेंज अलर्ट जारी किया है, जहां इससे व्यापक नुकसान होने की आशंका है।
महापात्रा ने कहा कि यह चक्रवात भारी खतरे का कारण बन सकता है और इससे तेज लहर, तेज हवा और भारी बारिश की संभावना है। उन्होंने कहा कि दक्षिण और उत्तर परगना, पश्चिम और पूर्व मेदिनीपुर, हुगली, हावड़ा और कोलकाता जैसे पश्चिम बंगाल के तटीय जिलों में बारिश 19 मई से शुरू होगी और 55 से 65 किमी प्रति घंटा की रफ्तार से हवा चलेगी। ज्वार की लहर खगोलीय ज्वार से चार से छह फीट ऊपर होने की उम्मीद है।
मौसम विभाग के महानिदेशक ने कहा कि सुपर साइक्लोन भारी बारिश से लेकर बेहद भारी बारिश का कारण बनेगा और साथ ही 165 से 195 किमी प्रति घंटा की रफ्तार से हवा चलेगी। इस हवा की गति बड़े पैमाने पर नुकसान पहुंचा सकती है। उन्होंने कहा कि यह तेज हवा पेड़ों के साथ ही संचार और बिजली ट्रांसमिशन के खंभों को उखाड़ सकती है। टेलीफोन लाइनों को नुकसान पहुंच सकता है और घरों, फसलों और वृक्षारोपण को भी भारी नुकसान की संभावना है।
महापात्रा ने कहा कि ओडिशा के उत्तरी तटीय जिलों जैसे जगतसिंहपुर, केंद्रपाड़ा, भद्रक और बालासोर पर चक्रवात का जल्दी असर होगा। हालांकि उन्होंने कहा कि यह प्रभाव प्रत्यक्ष नहीं होगा, क्योंकि चक्रवात राज्य के समानांतर चल रहा है। आज (सोमवार) रात से उत्तर ओडिशा के जिलों में 110 से 130 किमी प्रति घंटा की रफ्तार से हवा चलेगी। इससे पहले मई 2019 में ओडिशा से टकराने वाला फानी अंतिम गंभीर चक्रवात था। महापात्रा ने कहा कि अब बंगाल की खाड़ी में चक्रवातों में कमी जरूर आई है, मगर साथ ही इनकी गंभीरता बढ़ गई है।
Google न्यूज़, नवजीवन फेसबुक पेज और नवजीवन ट्विटर हैंडल पर जुड़ें
प्रिय पाठकों हमारे टेलीग्राम (Telegram) चैनल से जुड़िए और पल-पल की ताज़ा खबरें पाइए, यहां क्लिक करें @navjivanindia